NOTICE OF PUBLIC HEARING
Monday, July 22, 2024 at 6:30 pm ‐ Council Chambers at Central Saanich Municipal Hall
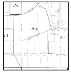
REZONING APPLICATION – Maber (ȾIKEL) Wetlands Agriculture Zone A‐2 (Bylaw No. 2110)
This is to notify that Council will hold a PUBLIC HEARING to consider a REZONING proposal to create a new zone “Maber (ȾIKEL) Wetlands Agriculture Zone A‐2” to restrict the land use to agriculture which would include multiple properties.

AND FURTHERMORE, TAKE NOTICE that the Bylaw may be inspected, and other information related to this Bylaw, may be reviewed until July 22, 2024 excluding weekends and statutory holidays, from 8:30 am to 4:30 pm at Municipal Hall, 1903 Mount Newton Cross Road.
HOW TO PROVIDE INPUT
- Written enquiries and comments submitted by mail or email received by 12:00 pm on July 22, 2024, will be included in the revised meeting agenda. All correspondence submitted will form part of the public record and may be published on a meeting agenda. Comments may be submitted by the following:
- Email comments to municipalhall@csaanich.ca
- Mail comments to 1903 Mount Newton Cross Road, Saanichton, BC, V8M 2A9
- Deliver comments to the Municipal Hall, 1903 Mount Newton Cross Road
- Attend the council meeting in person.
- Attend Virtually: Register to speak via electronic meeting, email municipalhall@csaanich.ca or call 250‐652‐4444 by noon on the meeting date and you will be sent instructions on how to connect.
Property Address:
- 7163 Wallace Dr. ‐ LOT B SECTION 11 RANGE 1E SOUTH SAANICH PLAN VIP29820
- 1864 Highfield Rd. ‐ LOT B SECTION 10 RANGE 2E SOUTH SAANICH PLAN EPP48881 & SEC 11
- 7235 Wallace Dr. ‐ LOT A, PLAN VIP80420, SECTION 10/11, RANGE 2E, SOUTH SAANICH DISTRICT
- 1840 Highfield Rd. – LOT B SECTION 11 RANGE 2E SOUTH SAANICH DISTRICT PLAN VIP80420
- 7161 Wallace Dr. ‐ LOT 9 BLOCK 2 SECTION 11 RANGE 1E SOUTH SAANICH PLAN VIP1607 EXC PT COMPRISING OF THE SRW OF THE BRITISH COLUMBIA ELECTRIC RAILWAY COMPANY AS SHOWN ON LOCATION PL 838 O.S, LOT 8, BLOCK 2, PLAN VIP1607, SECTION 11, RANGE 1E, SOUTH SAANICH LAND DISTRICT
- Highfield – Unaddressed – LOT 2 BLOCK 4 RANGE 2E SOUTH SAANICH PLAN VIP1607 SECTION 11/12
- 1841 Highfield Rd. ‐ LOT 3 BLOCK 4 RANGE 2E SOUTH SAANICH DISTRICT PLAN VIP1607 SECTION 11/12.
- 1417 Sluggett Ave. ‐ SECTION 12 RANGE 1E SOUTH SAANICH PLAN VIP1183 EXCEPT PLAN PCL A (DD114754I) PCL D (DD54638I), EXC PT OUTLINED IN RED ON PL 207R & LOTS 1 TO 6 & LOT 49 PL 1183 & THOSE PARTS OF SAID SEC 12 IN PLANS 9943 & 12441
- Meadowbank Rd. – Unaddressed – LOT 18 BLOCK 4 SECTION 11 RANGE 2E SOUTH SAANICH PLAN VIP1607 EXCEPT PLAN 838, SEC 11 & 12 EXC THAT PT COMPRISING THE SRW OF THE BRITISH COLUMBIA ELECTRIC RAILWAY COMPANY AS SHOWN ON LOCATION PL 838
- Meadowbank Rd. – Unaddressed – LOT 17 BLOCK 4 RANGE 2E SOUTH SAANICH PLAN VIP1607 SECTION 11/12
- Meadowbank Rd. – Unaddressed – LOT 16 BLOCK 4 RANGE 2E SOUTH SAANICH PLAN VIP1607 SECTION 11/12
- 1770 Meadowbank Rd. ‐ LOT 15 BLOCK 4 SECTION 11/12 RANGE 2E SOUTH SAANICH DISTRICT PLAN VIP1607
- 1890 Meadowbank Rd. ‐ LOT A SECTION 12 RANGE 2E SSD PLAN VIP84547
- 1860 Meadowbank Rd. ‐ LOT B SECTION 12 RANGE 2E SSD PLAN VIP84547
- 1671 Meadowbank Rd. ‐ LOT 1 BLOCK 5 SECTION 12 RANGE 2E SOUTH SAANICH DISTRICT PLAN VIP1607 EXCEPTPLAN 838
- 1701 Meadowbank Rd. ‐ LOT 2 BLOCK 5 SECTION 12 RANGE 2E SOUTH SAANICH DISTRICT PLAN VIP1607
- 1731 Meadowbank Rd. ‐ LOT 3 BLOCK 5 SECTION 12 RANGE 2E SOUTH SAANICH DISTRICT PLAN VIP1607
- 1771 Meadowbank Rd. ‐ LOT 4 BLOCK 5 SECTION 12 RANGE 2E SOUTH SAANICH PLAN VIP1607
- 1801 Meadowbank Rd. ‐ LOT 5 BLOCK 5 SECTION 12 RANGE 2E SOUTH SAANICH DISTRICT PLAN VIP1607
WATCH THE MEETING
Live online or view the video the following day at centralsaanich.ca/council‐meetings
LEARN MORE
Email: planning@csaanich.ca
Website: CentralSaanich.ca/home‐property‐development
